Floridian Development
Articles
Cities
All Cities
Miami
Miami Beach
Tampa
Fort Lauderdale
West Palm Beach
Hollywood
North Miami Beach
Pompano Beach
South Miami
North Bay Village
Hallandale Beach
North Miami
Boca Raton
Questions & Answers
Articles
Cities
All Cities
Miami
Miami Beach
Tampa
Fort Lauderdale
West Palm Beach
Hollywood
North Miami Beach
Pompano Beach
South Miami
North Bay Village
Hallandale Beach
North Miami
Boca Raton
Questions & Answers
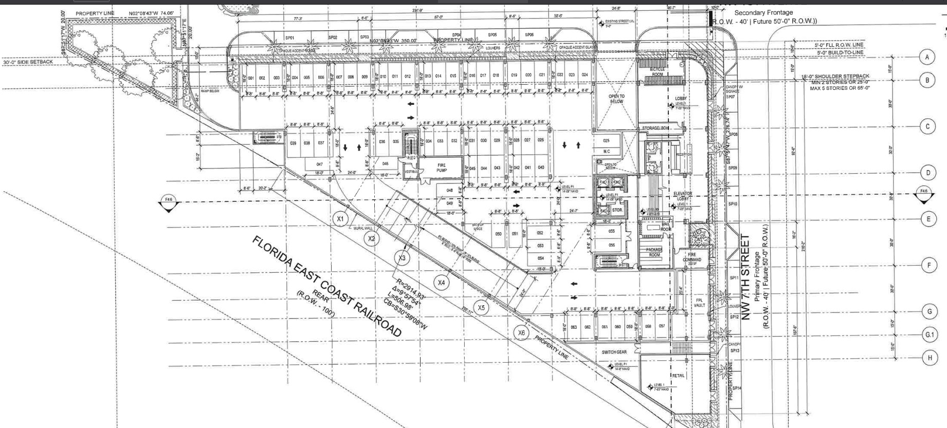
Astor Progresso Village
Project Phase:
Planning
Basics:
Units: 249
Floors: 12
Parking Spots: 308
Hotel Rooms: 0
Height (FT): 120
Commercial (SF): 1665
Office (SF): 0
Companies:
Developer: Midtown Capital Partners
Architect: CUBE 3
Additional:
Project Usage: Multifamily
City: Fort Lauderdale
Site Plan & Elevations:
Associated Articles:
September 8, 2025
Midtown Capital Partners Proposes Astor Progresso Village: a 249-Unit Multifamily Building in Fort Lauderdale